今日开贴!!!!开贴大吉!!!!
马上拿房,已经联系好瓦工和水电工。静待好日子开工。
以后此贴持续更新----记录清包的每一步!!!!
附录:(一直有朋友问联系方式,在此总结一下)
水电 彭师傅 13003457764 推荐指数:★★★★★★★★★★
瓦匠 陈师傅 13179393473 推荐指数:★★★★★★★★
油漆 徐师傅 15862980772 推荐指数:★★★★★★★★
敲墙 邹师傅 15240279299 推荐指数:★★★★★★★★
[ 本帖最后由 zzq122zzq 于 16-12-3 14:03 编辑 ]
2016-8-21
之前接近一个月有点事情,装修的事情暂停了一段时间,今天开始抓紧时间搞起,约了瓦工陈师傅开了一下瓷砖的面积清单,然后去亿都后面的仓库定瓷砖
关于瓷砖,个人觉得一分钱一分货,三分钱两分货,十分钱三分货;质量嘛肯定越贵的越好,但是性价比不一定高,我觉得80*80的瓷砖四五十块钱一块还可以,如果想再好一点的七八十的足够用了。当然便宜的话平整度啊之类的不是很好,介意的话就买贵一点的。
另外,我买的外墙墙砖不是很好,贴的时候发现砖切开之后是红底砖,密实度不好,吸水太多,客厅大地砖我觉得我买的还可以,厨房买的也还行
还要注意:(1)尽量一次买齐,这家的补货过程真是让人一把鼻涕一把泪啊;(2)不要一次交清,留点尾款,省的送货的时候出点幺蛾子,扯皮的话你站劣势,我就是货没送齐,但是钱先交清了,后来我还自己去拉的砖,自己上楼。
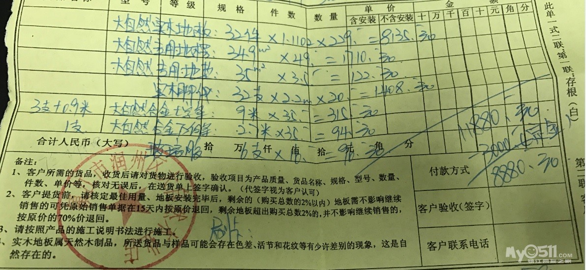
清单如下
最下面白条后面的都是送的,
![]()
[ 本帖最后由 zzq122zzq 于 16-9-26 11:55 编辑 ]
之前接近一个月有点事情,装修的事情暂停了一段时间,今天开始抓紧时间搞起,约了瓦工陈师傅开了一下瓷砖的面积清单,然后去亿都后面的仓库定瓷砖
关于瓷砖,个人觉得一分钱一分货,三分钱两分货,十分钱三分货;质量嘛肯定越贵的越好,但是性价比不一定高,我觉得80*80的瓷砖四五十块钱一块还可以,如果想再好一点的七八十的足够用了。当然便宜的话平整度啊之类的不是很好,介意的话就买贵一点的。
另外,我买的外墙墙砖不是很好,贴的时候发现砖切开之后是红底砖,密实度不好,吸水太多,客厅大地砖我觉得我买的还可以,厨房买的也还行
还要注意:(1)尽量一次买齐,这家的补货过程真是让人一把鼻涕一把泪啊;(2)不要一次交清,留点尾款,省的送货的时候出点幺蛾子,扯皮的话你站劣势,我就是货没送齐,但是钱先交清了,后来我还自己去拉的砖,自己上楼。
清单如下
最下面白条后面的都是送的,

[ 本帖最后由 zzq122zzq 于 16-9-26 11:55 编辑 ]
2016-8-25
瓷砖开贴之后,继续补材料,黄沙水泥:黄沙4吨*140,水泥2.5吨*360,标准砖600块*0.6共计1750元;
亮光购买水不漏,特密斯各两袋88.8元;亮光对面购买德高防水桶装2桶400元,送刷子和滚筒各一个;亮光定4个地漏*45元,共计180元;
另外室内移门质量不好,找小区内收垃圾的拆门,拆了一个四扇移门+一个六扇移门+一个开门,工钱不要,另给主家50元,当做是卖垃圾的钱。(拆门的时候一直埋怨阳台的铝合金框架没让他们拆,如果拆的话可以给200元,而我是免费送给封阳台的了)
2016-8-30
隔热问题一直是阳光房的大问题,咨询了很多人也没有太好的办法:
1.在阳光房玻璃顶和下面的集成吊顶之间加带铝箔面反光的防晒层+黄色的泡沫状的保温层;这种方法据说会炸玻璃,因为玻璃的温度太高
2.在玻璃上面做一层防水卷材,效果不知道咋样
我第一步是先从封阳台的师傅那里要来阳光房玻璃顶的尺寸,然后去某宝买了黑不透请封阳台的师傅免费帮忙贴上,膜贴在里面,至于后期再加保温层还是防水卷材待定
![]()
![]()
贴上黑不透的效果图
![]()
[ 本帖最后由 zzq122zzq 于 16-9-27 15:34 编辑 ]
瓷砖开贴之后,继续补材料,黄沙水泥:黄沙4吨*140,水泥2.5吨*360,标准砖600块*0.6共计1750元;
亮光购买水不漏,特密斯各两袋88.8元;亮光对面购买德高防水桶装2桶400元,送刷子和滚筒各一个;亮光定4个地漏*45元,共计180元;
另外室内移门质量不好,找小区内收垃圾的拆门,拆了一个四扇移门+一个六扇移门+一个开门,工钱不要,另给主家50元,当做是卖垃圾的钱。(拆门的时候一直埋怨阳台的铝合金框架没让他们拆,如果拆的话可以给200元,而我是免费送给封阳台的了)
2016-8-30
隔热问题一直是阳光房的大问题,咨询了很多人也没有太好的办法:
1.在阳光房玻璃顶和下面的集成吊顶之间加带铝箔面反光的防晒层+黄色的泡沫状的保温层;这种方法据说会炸玻璃,因为玻璃的温度太高
2.在玻璃上面做一层防水卷材,效果不知道咋样
我第一步是先从封阳台的师傅那里要来阳光房玻璃顶的尺寸,然后去某宝买了黑不透请封阳台的师傅免费帮忙贴上,膜贴在里面,至于后期再加保温层还是防水卷材待定


贴上黑不透的效果图

[ 本帖最后由 zzq122zzq 于 16-9-27 15:34 编辑 ]
2016-09-10
红星美凯龙志邦厨柜搞活动,套餐价7999,包含三米地柜,三米台面,一米吊柜,烟机灶具,交两千送五百
最后不要烟机灶具6999,减去送的500,也就是6499,然后跟老板谈了谈,一口价6000
多出的部分68折
第二天志邦量尺寸的师傅上门量尺寸,然后三四天之后打电话给我,设计方案出来了,去签合同,最后做了L型方案,加上碗篮,煤气包管等算在内共计10100
签完合同之后,让我尽快提供水槽和灶具开孔尺寸,着急忙慌的我就开了一个常规尺寸,水槽一般外观是78*43,开孔尺寸75*40;灶具开孔尺寸680*350*R47
[ 本帖最后由 zzq122zzq 于 16-9-27 18:55 编辑 ]
红星美凯龙志邦厨柜搞活动,套餐价7999,包含三米地柜,三米台面,一米吊柜,烟机灶具,交两千送五百
最后不要烟机灶具6999,减去送的500,也就是6499,然后跟老板谈了谈,一口价6000
多出的部分68折
第二天志邦量尺寸的师傅上门量尺寸,然后三四天之后打电话给我,设计方案出来了,去签合同,最后做了L型方案,加上碗篮,煤气包管等算在内共计10100
签完合同之后,让我尽快提供水槽和灶具开孔尺寸,着急忙慌的我就开了一个常规尺寸,水槽一般外观是78*43,开孔尺寸75*40;灶具开孔尺寸680*350*R47
[ 本帖最后由 zzq122zzq 于 16-9-27 18:55 编辑 ]
2016-09-19
瓦工2016-9-15结束之后,地板砖老化三四天之后木工准备进场,提前联系董师傅开木料单子去备货,同事推荐亿都宝源木材,直接下单,第二天送货上楼。
木工施工几天之后觉得这个160一块的免漆板质量不是很好,看来以后还是得买兔宝宝大王椰等牌子货啊,一分钱一分货
![]()
![]()
![]()
![]()
![]()
需要说明的是:木工施工对地板需要保护,木工董师傅特别建议买废石膏板,老板免费会送,但是上楼费需自付,我买了25张基本够用。
![]()
关于柜子的内部结构,我参考了别家的设计方案,最终设计如下:
主卧2.7m宽,设计移门4扇,内部结构如下,最右侧的一个柜子改为两个,这样内部是4个均分的柜子
![]()
次卧和客卧分别是1.4m和1.8m,两扇移门,内部结构如下
![]()
![]()
书房
![]()
阳台储物柜
![]()
[ 本帖最后由 zzq122zzq 于 16-9-27 19:03 编辑 ]
瓦工2016-9-15结束之后,地板砖老化三四天之后木工准备进场,提前联系董师傅开木料单子去备货,同事推荐亿都宝源木材,直接下单,第二天送货上楼。
木工施工几天之后觉得这个160一块的免漆板质量不是很好,看来以后还是得买兔宝宝大王椰等牌子货啊,一分钱一分货





需要说明的是:木工施工对地板需要保护,木工董师傅特别建议买废石膏板,老板免费会送,但是上楼费需自付,我买了25张基本够用。

关于柜子的内部结构,我参考了别家的设计方案,最终设计如下:
主卧2.7m宽,设计移门4扇,内部结构如下,最右侧的一个柜子改为两个,这样内部是4个均分的柜子

次卧和客卧分别是1.4m和1.8m,两扇移门,内部结构如下


书房

阳台储物柜

[ 本帖最后由 zzq122zzq 于 16-9-27 19:03 编辑 ]
2016-09-29
亮光建材购买衣柜五金材料,一分钱一分货,感觉抽屉轨道还是要好一点的,五个柜子,五金共计1047元;另外退了之前购买的多余的水电管线等材料,收取了5%的手续费,退了226块钱。
另外吊顶需要确定筒灯开孔尺寸,常规尺寸是7.5cm
![]()
2016-10-01
木工结束,工资共计7000元。价格不便宜,之前问的别的师傅,吊顶只要40元一平。
其中:柜子:共计4650元,其中下柜投影面积*120元/平,上柜100元/平,抽屉50元/个,上柜门30元/个;吊顶:吊顶1600元,窗帘盒270元,其中吊顶展开面积*50元/平,窗帘盒20元/米;门套7个600元;背景墙展宽100元;
后悔买的板子有点便宜了,打的柜子都是毛边(也有可能是木工手艺不行)
![]()
![]()
木工结束之后一堆垃圾竟然不愿意带下楼,都翻脸了才给下楼的,人不是很厚道。
![]()
![]()
亮光建材购买衣柜五金材料,一分钱一分货,感觉抽屉轨道还是要好一点的,五个柜子,五金共计1047元;另外退了之前购买的多余的水电管线等材料,收取了5%的手续费,退了226块钱。
另外吊顶需要确定筒灯开孔尺寸,常规尺寸是7.5cm

2016-10-01
木工结束,工资共计7000元。价格不便宜,之前问的别的师傅,吊顶只要40元一平。
其中:柜子:共计4650元,其中下柜投影面积*120元/平,上柜100元/平,抽屉50元/个,上柜门30元/个;吊顶:吊顶1600元,窗帘盒270元,其中吊顶展开面积*50元/平,窗帘盒20元/米;门套7个600元;背景墙展宽100元;
后悔买的板子有点便宜了,打的柜子都是毛边(也有可能是木工手艺不行)


木工结束之后一堆垃圾竟然不愿意带下楼,都翻脸了才给下楼的,人不是很厚道。


2016-11-15
今天把最后一遍面漆做完,油漆工暂时告一段落,收工!剩下的就是等到所有硬装结束之后油漆的找补,这个时候剩下的石膏粉和腻子粉面漆不要扔了,还有用的,补一些磕磕碰碰的地方,插线面板的边缝,室内木门的门边框缝等等
油漆工工资6000:120平*40元/平,多加的阳台卫生间加两个工600,再加前面刮墙皮600
2016-11-16
今天是比较忙碌的一天,本来是今天装门,明天吊顶的,结果吊顶的工期安排调整提前到我家,好吧,一起装吧。
盼盼木门早晨送货到
![]()
装门套,先把三个板钉成框架,然后扶起来卡在门洞里
![]()
固定,看到细细的钉子了吗?
![]()
打发泡胶
![]()
卡住线条
![]()
门套就装好了,然后用五金折页把门固定住,门就装好了,是不是so easy?
![]()
五个门,外加四个门套,两个窗套,花了一天半时间
吊顶早晨货到
![]()
![]()
打框架
![]()
卡板子
![]()
周边用玻璃胶一封,ok啦,18平方一天搞定。
顺便说一下,阳光房为了防晒之前贴了一层防晒膜,觉得不给力,又去亿都买了保温板
![]()
这个样子的,两面是铝箔反光反热,中间是保温塑料
贴上之后是这样的
![]()
这个是工人师傅们认真工作的时候我自己diy的哦,哇咔咔
[ 本帖最后由 zzq122zzq 于 16-12-23 12:13 编辑 ]
今天把最后一遍面漆做完,油漆工暂时告一段落,收工!剩下的就是等到所有硬装结束之后油漆的找补,这个时候剩下的石膏粉和腻子粉面漆不要扔了,还有用的,补一些磕磕碰碰的地方,插线面板的边缝,室内木门的门边框缝等等
油漆工工资6000:120平*40元/平,多加的阳台卫生间加两个工600,再加前面刮墙皮600
2016-11-16
今天是比较忙碌的一天,本来是今天装门,明天吊顶的,结果吊顶的工期安排调整提前到我家,好吧,一起装吧。
盼盼木门早晨送货到

装门套,先把三个板钉成框架,然后扶起来卡在门洞里

固定,看到细细的钉子了吗?

打发泡胶

卡住线条

门套就装好了,然后用五金折页把门固定住,门就装好了,是不是so easy?

五个门,外加四个门套,两个窗套,花了一天半时间
吊顶早晨货到


打框架

卡板子

周边用玻璃胶一封,ok啦,18平方一天搞定。
顺便说一下,阳光房为了防晒之前贴了一层防晒膜,觉得不给力,又去亿都买了保温板

这个样子的,两面是铝箔反光反热,中间是保温塑料
贴上之后是这样的

这个是工人师傅们认真工作的时候我自己diy的哦,哇咔咔
[ 本帖最后由 zzq122zzq 于 16-12-23 12:13 编辑 ]



































































































































我也想自己找木工打柜子,正好看到楼主推荐
另外想问下在哪定做的床呀



